Cara Aman dan Bijak Menggunakan Media Sosial
Cara Aman dan Bijak Menggunakan Media Sosial: Panduan Lengkap untuk Generasi Produktif Media sosial telah menjadi bagian tak terpisahkan dari ...
Cara Aman dan Bijak Menggunakan Media Sosial: Panduan Lengkap untuk Generasi Produktif Media sosial telah menjadi bagian tak terpisahkan dari ...
Kurangi Plastik, Selamatkan Bumi: Tips Mudah di Kehidupan Sehari-hari! Sampah plastik menjadi masalah global yang semakin mendesak, termasuk di Indonesia. ...
Wartakita.id, MAKASSAR - SMKN 2 Makassar menjadi tuan rumah kegiatan berbagi inspirasi dan pelatihan baris-berbaris yang diinisiasi oleh Purna Paskibraka ...
Bill Gates bertemu Presiden Prabowo di Jakarta, membahas kolaborasi dalam pengembangan vaksin TB, nutrisi ibu hamil, dan transformasi digital Indonesia.
Setiap 1 Mei, Hari Buruh mengingatkan kita pada perjuangan panjang pekerja untuk mendapatkan hak dan kesejahteraan. Namun, di tengah lautan ...
Meta Description: Blackout Eropa 2025 lumpuhkan Spanyol, Portugal, dan Prancis. Apa penyebab pemadaman listrik terbesar ini? Simak fakta dan dampaknya ...
Description: Liverpool resmi juara Premier League 2025 setelah menang 5-1 atas Tottenham. Arne Slot samai rekor MU, Mohamed Salah jadi ...
Hukum yang tegas dan pendidikan karakter yang kokoh adalah dua pilar yang saling menguatkan. Ketika hukum menjadi panglima, ormas represif ...
Gempa magnitudo 6,2 mengguncang Istanbul saat Hari Anak Nasional. Lebih dari 150 orang terluka, namun tidak ada WNI yang menjadi ...
Gempa M 5,6 guncang Sukabumi pada 22 April 2025. Getaran terasa hingga Bandung dan Purwokerto. BMKG: Tidak berpotensi tsunami. Cek ...
Paus Fransiskus, kelahiran Jorge Mario Bergoglio pada 17 Desember 1936, meninggal pada 21 April 2025 di usia 88 tahun setelah ...
Membedah paradoks religiusitas di Indonesia dengan integritas publik yang memudar; ulasan kasus, data CPI 2023, KPK, serta strategi penegakan hukum ...
Wartakita.id, MAKASSAR - Suasana penuh sukacita dan kehangatan iman mewarnai perayaan Hari Ulang Tahun ke-12 Gereja YHS Tanjung Bunga yang ...
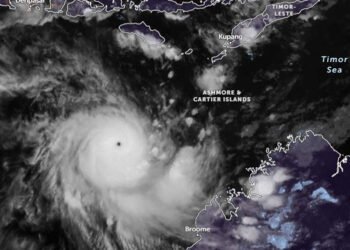
Siklon Tropis Errol viral disebut siklon terkuat pertama 2025. BMKG tegaskan Errol hanya kategori empat, bukan lima. Simak fakta lengkap ...
Libur long weekend Paskah 18-20 April 2025 resmi ditetapkan! Cek jadwal lengkap libur nasional dan rencanakan liburanmu dari sekarang. Cocok ...
Wartakita.id, BANDUNG - Para mantan wali kota dari berbagai daerah di Indonesia sepakat membentuk Forum Walikota Senior sebagai wadah untuk ...
Gempa bumi tidak seperti kejadian alam lainnya yang masih bisa diprediksi jauh-jauh hari dengan lebih akurat.
Read moreDetails